R 250 000
calculate bond costs
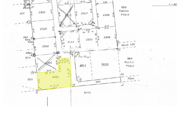
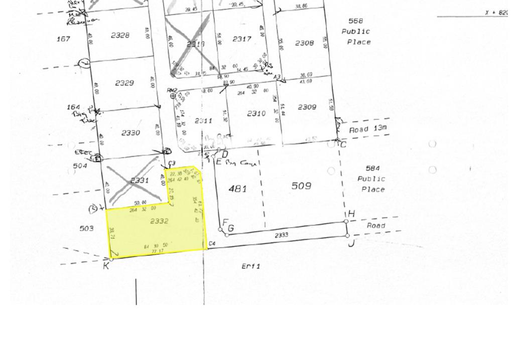
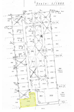
3 794 m² Land available in Bathurst and Surrounds
3 794 m²
A stunning, large plot of 3,794 m in Bathurst. We are excited to offer a rare opportunity in the heart of Bathurst. A stunning, large plot of 3,794 m, situated just off Hill Street, with easy access from the R67.
This property is almost flat and enjoys easy road access, making it ideal for residential construction or investment. It is covered with natural vegetation, which can easily be tailored to suit a homeowners landscaping vision whether preserving a natural bush character or creating a lush garden layout.
Its location is both convenient and peaceful: very close to the Bathurst village centre, while set in a quiet, green area.
This is an affordable and unique property. Call to view today.
Property details
- Listing number T5282037
- Property type Residential Land
- Listing date 27 Oct 2025
- Land size 3 794 m²