R 22 500 000
calculate bond costs

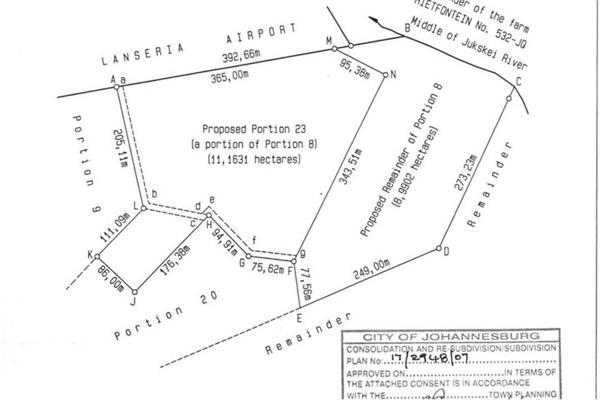
8.9 ha Land available in Lanseria and surrounds

8.9 ha

EXCELLLENT INVESTMENT IN A RAPIDLY GROWING AREA IN LANSERIA

Own a prime piece of land in the heart of Lanseria, Gauteng, South Africa.

This exceptional 8.9-hectare property offers a prime location for developers and investors.

Zoning specifically designated for development, providing you with the flexibility to create your own masterpiece.

With spectacular river frontage which could be incorporated in the development and design of a hotel with conference facilities.

The property has been classified as Undetermined, which indicates that the property can be re-graded as required by any new owner, for example: Recreational, Agricultural, Light Industry or Residential.

The topography in some of the property also lends itself to off-roading, as a sport, indeed, the Mercedes Unimog crash vehicles were demonstrated on the property.

With direct access to the Jukskei River and a shared dam with Lanseria Airport, this property offers a unique opportunity to pump water directly from the river for irrigation purposes, setting it apart from other properties in the area. The border falling in the center of the river.

The property has ample water supply and presently got three boreholes, two unequipped and one equipped which supplies a copious amount of good quality drinking water as well as for irrigation and has a 50Kva Industrial three phase electric power point.

One of the standouts features of this property is its excellent connectivity. Just minutes away from the airport, this location provides straightforward access for both domestic and international travelers.

Dont miss out on this investment oppertunity in a rapidly growing area, promising both tranquility and accessibility.

Secure your future with this exceptional countryside property today!

LET ME LEAD TO YOUR ADVENTURE!!

Property details

  • Listing number T5297148
  • Property type Residential Land
  • Listing date 9 Nov 2025
  • Land size 8.9 ha

Photo gallery