R 7 450 000
calculate bond costs

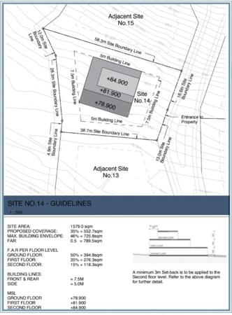
1 581 m² Land available in Sibaya Precinct

1 581 m²

Well Positioned Location of Exquisite Living - Signature Estate - Sibaya. This might be the opportunity you were waiting for to build you Exquisite Dream home in the most secure and prestigious Signature estate Sibaya, 1581m2 of Land with spectacular ocean views and greenbelt with no interruptions in the most exclusive residential development in KZN. Founded on principles that set it apart from anything else in the province, SIGNATURE includes exclusivity, privacy, elegance and sophistication. For connoisseurs of the exceptional, this spectacular development offers panoramic views of the ocean, state of the art security and unprecedented architectural design. Quite simply, the most sought-after piece of paradise on the KZN coastline.

Development Vision

The vision for the development is the creation of an exclusive, premium lifestyle residential estate of 45 properties, each with extensive sea views and set within a heavily landscaped, secure development complemented by the highest quality finishes that dictate the development ethos. Site sizes range from 1 000 to 2 000 square meters, and prices range from R4,2 to R10,5 million.

Development Ethos

SIGNATURE is a refined testament to the notion of home as an extension of self: an autobiography - unique and bespoke. This development is a beautifully crafted work of art that celebrates ecological principles and merges form and function to create a masterpiece enmeshed in its breath-taking surrounds. With view preservation as its overarching priority, every opportunity is a private haven privileged to enjoy sea-views as a defining feature. There is no better sanctuary to call home.

Sibaya Precinct

The Sibaya precinct, under the management of the highly reputable Tongaat Hulett Development Company, is the most exciting node being developed on the KZN north coast. With a mix of residential, commercial and retail components, this new suburb is set to become the ultimate destination to live, work and play. Upmarket boulevards will be carefully landscaped and tastefully designed to offer residents the perfect combination of style and convenience. This precinct will conform to international standards, placing KZN on the global map. Nestled within this precinct, in the most prized sea-facing location, resides SIGNATURE: the jewel in Sibayas crown.

To secure yourself a piece of luxury, in Sibayas most treasured asset, contact me today.

Property details

  • Listing number T4092929
  • Property type Residential Land
  • Listing date 15 Mar 2023
  • Land size 1 581 m²
  • Levies R 4 600

Photo gallery