R 18 500 000
calculate bond costs

4 Bedroom House in Worlds View

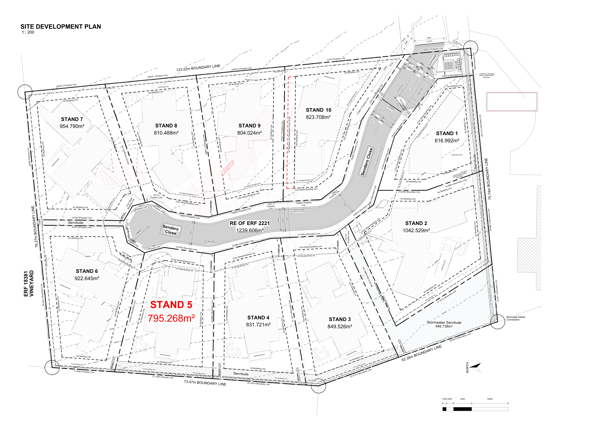
4 4 4 795 m² 493 m²

Vista al Mar, a new modern, secure, luxury estate offering 10 bespoke and exclusive Residences

RESIDENCE NO 5

NO TRANSFER DUTY

Perched on the foothills of the Helderberg Mountain, this extraordinary security estate, neighbouring Helderberg Nature Reserve, has just been launched. It will showcase modern homes aimed at clients who demand the highest standards with finishes, exclusivity, security, location and the ability to perfect their own living spaces to suit their own individual lifestyle.

Preparation of the estate grounds 6 Kloof Lane, World''s View and services begins October 2025, and construction of the Residences can start early 2026.

This Master Architecturally designed Residence includes

- Full turnkey plot and house complete

- Double glazed windows throughout

- Pool

- CCTV Alarm WiFi installed and running

- Stone Cladding

- Pergola

- Garden landscaped and Irrigation installed

- Exterior & interior glass balustrading

- High End Fireplace, either wood or gas

- 10 Hours with Architect and Engineer for any changes at no charge

- High End Floor Tiles

- High End Sanitary Ware

- High End Light Fittings

- Gas Installed

- Sliding shutters over exterior windows

- Paving around house and driveway

- AC

- Walk in shower screens

- High End Cupboards & Vanities

- Electronic Garage door and Motor

Note: An allowance list will be provided for the home.

Please request a full brochure with all the details pertaining to Vista al Mar.

Many extras are available including:

- Lift

- Basement

- Staff Room Store Room

- Covered Braai Room

- Inverter Solar System Battery Backup

- Under Floor Heating

- Central Vacuum

- Alternative water heating & cooking power source

- Sliding Shutters

- Boma - 6 or 10 seater

- Skylights

- Larger or infinity pool

- Sauna room

- Steam room

- Hot tub Jacuzzi

- Outdoor bar

- Pizza oven

- Wine cellar

- Smart home system

- EV charging station

- Biometric security

- Electric blinds

- Laundry chute

- Extra Cladding

- Extra Internal Fireplace

For further details, or to reserve this exclusive property, call Derek or Carlla.

A full price list, brochure and spec sheet for the entire development is available on request.

Property details

  • Listing number T5181613
  • Property type House
  • Listing date 7 Aug 2025
  • Land size 795 m²
  • Floor size 493 m²
  • Rates and taxes R 3 700
  • Levies R 3 200

Property features

  • Bedrooms 4
  • Bathrooms 4
  • Lounges 1
  • Dining areas 1
  • Garage parking 2
  • Open parking 2
  • Pet friendly
  • Balcony
  • Patio
  • Pool
  • Security post
  • Study
  • Garden

Photo gallery

Video