R 7 500 000
calculate bond costs

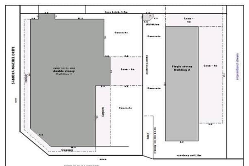
1 355 m² Industrial space in Nelspruit Industrial

1 927 m² 1 355 m²

Versatile Industrial Property with High-Visibility Location - Nelspruit

Versatile Industrial Property with High-Visibility Location Nelspruit

Commercial Property For Sale Nelspruit

Your Business Hub with Rental Income Potential

Office Space, Showroom, Workshop, Warehouse space and Panel beating with Spay room.

Positioned at a prominent corner in Nelspruits thriving industrial zone, this property offers exceptional functionality for businesses, investors, or developers. Its versatile layout, combined with prime exposure near the bus depot, makes it a rare find in this sought-after location.

Property Overview:Total Size: 1,927m2 of Industrial 1 Zoned property.Flexible Spaces: Workshops, offices, retail areas, and storage facilities designed to meet various business needs.Income Opportunity: Generate an estimated R110,000 monthly rental across the propertys multiple units.

Feature Breakdown:

1. Professional Office Space (200m2)Welcoming reception area with seating for visitors.Boardroom and a mix of private and open-plan offices.Kitchen with scullery and two bathrooms.Rental Estimate: R20,000/month.

2. Expansive Retail/Commercial Unit (400m2)Open-plan workshop space and six private offices.Three bathrooms with multiple facilities.Excellent potential for retail or administrative operations.Rental Estimate: R25,000/month.

3. Multi-Use Workshop (900m2)Ideal for manufacturing, logistics, or storage.Includes a reception area, guest bathrooms, staff facilities, and dressing rooms.Built-in entertainment bar and ample storage space.Large backyard with parking for equipment or vehicles.Rental Estimate: R35,000/month.

4. Specialized Panel Beating Workshop (450m2)Equipped with a spray booth and storeroom.Dedicated office space and worker facilities.Rental Estimate: R30,000/month.

Why This Property Stands Out:Strategic Location: High-traffic area with main road visibility, perfect for attracting clients and boosting brand exposure.Tailored Design: Each unit is purpose-built, catering to diverse industries, from manufacturing to retail.Convenient Access: Close to transport hubs and equipped with ample parking.Dual Purpose: Operate your business while benefiting from rental income.Rates R5,989

This propertys dynamic layout offers unlimited possibilities for businesses or savvy investors looking to maximize their portfolio.

Book your private viewing today to explore this prime industrial opportunity in the heart of Nelspruit!

The Property Professional below holds an active Fidelity Fund Certificate, is duly registered with the PPRA, and conducts business under eXp Realty South Africa.

Industrial property for sale in Nelspruit, prime corner industrial space Nelspruit, high-traffic commercial property Nelspruit, mixed-use property with workshops and offices, panel beating workshop with spray booth Nelspruit, large industrial property near transport hubs, rental income property in Nelspruit industrial area, Nelspruit industrial property with storage and offices, spacious industrial space with parking Nelspruit, commercial and retail space in Nelspruit.

Industriele eiendom te koop in Nelspruit, hoe sigbaarheid hoekperseel Nelspruit, industriele eiendom met werkswinkels en kantore, menggebruik eiendom in Nelspruit industriele gebied, paneelklop werkswinkel met spuitkamer te koop, eiendom met hoe huurinspensiaal Nelspruit, ruim industriele eiendom met parkeerplek, kommersiele en kleinhandel spasie Nelspruit, industriele eiendom naby openbare vervoer, eiendom met werkswinkels en kantoorruimte Nelspruit.

Property details

  • Listing number T4927291
  • Property type Industrial
  • Listing date 21 Jan 2025
  • Land size 1 927 m²
  • Floor size 1 355 m²
  • Rates and taxes R 5 989

Photo gallery