POA

1 604 m² Land available in The Hill

1 604 m²
On Auction

Development Opportunity: 13-20 x 2 Bedroom Residential Units in Johannesburg South

On Auction. DEVELOPMENT OPPORTUNITY

Auction date & time: Tuesday 2 December 11h00

Auction venue: 3 Williams Road, Bedfordview Boardroom Multi-Prop Auction

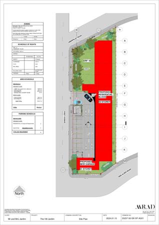
Property address: 2 Aberfeldy Road, The Hill, Johannesburg South

Development Opportunity: 13-20 x 2 Bedroom Residential Units in Johannesburg South.

Zoning - The property is currently zoned Residential 1 with a stand size of 1604 m2.

It falls in the Metropolitan node of the council''s spatial policy with a guide density of minimum 80 dwelling units per hectare. Council would thus be able to support a minimum of 13 units on the property but there could be motivation to get up to 20 units 125 duha since the unit sizes would probably fall under the inclusionary housing category. This would all be subject to infrastructure capacity availability.

In the Turffontein Corridor it would fall under Parking Zone B which has a reduced parking ratio of 0,3 bays per room for Boarding houses, hostels, communes and 0,5 bays per unit for social inclusionary housing.

Plans Drawn Up by MRA Design Architectural Firm details for the Town Planner & aforementioned firm will be provided to the Purchaser.

Potential GMI: +- R 6 400 rental pm per unit: 13 x 2 Bedroom Units: +- R 83 200pm

20 x 2 Bedroom Units: +- R 128 000pm

Potential GAI: 13 Units R 998 400

20 Units R 1 536 000

Land Size: 1604sqm

N.B: It is expressly recorded and agreed that the property being sold is occupied and therefore the seller andagent does not warrant vacant occupation of the property upon registration of transfer thereof in the purchaser''s name. It will therefore be the purchaser''s sole and absolute responsibility to evict the occupiers from the property, the costs of which shall be for the purchaser''s account.

Property details

  • Listing number T5299079
  • Property type Residential Land
  • Listing date 11 Nov 2025
  • Land size 1 604 m²
  • Rates and taxes R 936

Photo gallery