R 20 000 000
calculate bond costs

2 852 ha Land available in Seasons Lifestyle Estate

2 852 ha

DEVELOPERS and INVESTORSLooking for a fantastic ROI.

A stunning Sectional Title development opportunity, offering Golf, Wildlife, Restaurant, Spa, Sporting facilities, Nature Walks and 5-star security, awaits.

Perfectly positioned bordering the access road to the ever-popular Seasons Timeshare resort and within the 5-star security of Seasons Golf Estate, this development opportunity will be snapped up.

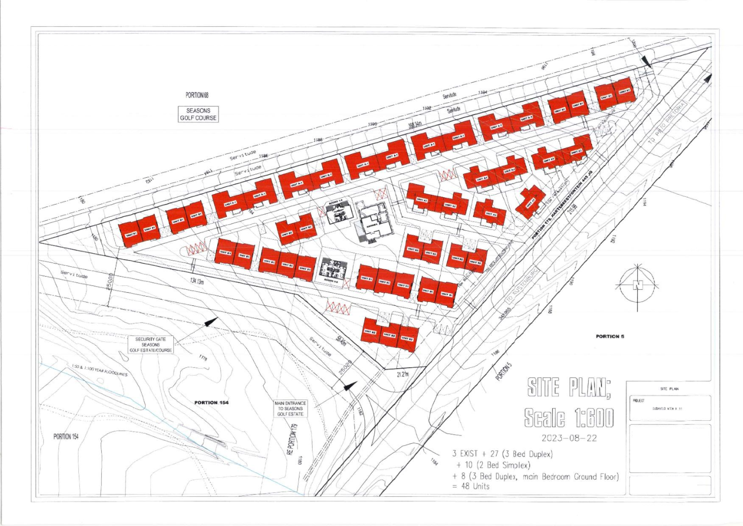
Bushveld View Ext 11 has an existing Site Development Plan for:

27 x 3 Bedroom Duplexes,

10 x 2 Bedroom Simplexes,

8 x 3 Bedroom Duplexes (offering main bedroom downstairs) and a huge bonus: 3 dwellings already in place, waiting for architectural upgrades to align with the stunning architecture afforded to the remainder of the Sectional Title Development.

Pre-limary work is well underway with Municipal Approvals, Draft plans as well as a Cost Estimate for Civil Services in place.

With the Lifestyle and Security offered, this Sectional Title Development once completed, will be a major drawcard for your future Sectional Title sales.

Lets talkA lifestyle investment awaits .

QUALIFIED BUYERS.Phone now for an Exclusive appointment to view

VAN ECK HORIZON PROPERTIES (PTY) LTD trading as RE/MAX Horizon (Hartbeespoortdam) operates in terms of a franchise agreement with RE/MAX of Southern Africa.

Property details

  • Listing number T4728150
  • Property type Residential Land
  • Listing date 29 Jul 2024
  • Land size 2 852 ha

Photo gallery